У Франківську пропонують зробити вул. Січових Стрільців односторонньою
01 Жовтня, 18:04
Поділитись статтею
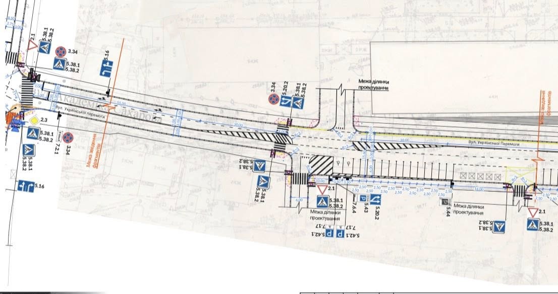
В Івано-Франківську розглядають нову схему організації руху на вул. Січових Стрільців. Наразі ділянка від вул. Незалежності до вул. Є. Коновальця є двосторонньою, решта – одностороння.
Фахівці ТОВ «Урбан прогрес» змоделювали кілька варіантів, і оптимальним визнали рішення зробити вулицю односторонньою на всій протяжності – від Незалежності до вул. Г. Мазепи. При цьому планують облаштувати виділену смугу для громадського транспорту та велосипедистів.
За словами спеціалістів, це дозволить автобусам рухатися без заторів, а водіям приватних авто – уникати накопичення в одному потоці з громадським транспортом.
Зміни стосуватимуться й маршрутів десяти автобусів, які зараз повертають з вул. Є. Коновальця на Січових Стрільців. Для них пропонують нову схему:
Є. Коновальця → Сахарова → Мельника → Незалежності → далі за існуючим маршрутом.
- Screenshot
- Screenshot
- Screenshot
- Screenshot
- Screenshot
На вул. Мельника облаштують дві нові зупинки: біля Пенсійного фонду та біля «Квіткового ринку».
Міська влада наголошує, що нова схема ще доопрацьовується та буде впроваджена паралельно з перенесенням світлофорів на вул. Січових Стрільців.
Поділитись статтею















